Dans le bleu profond, requins, priacanthes et bien d'autres poissons sont présents.

⬇︎Un mur tapissé de roses de corail (Montipora) où se cachent à la moindre alerte les Chromis verts, bleus, ainsi que les Demoiselles


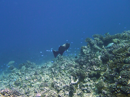
Début de rassemblement de perches à raies bleues Lutjanus Kasmira.

Trop tentant !

Je m'approche et je m'infiltre dans le groupe, je constate qu'il n'y a pas de panique, alors, je m'installe en plein milieu et j'observe ...


Tout ce jaune ! du soleil dans les profondeurs, c'est superbe.

Nous longeons la "roseraie" et nous nous engouffrons dans un des canyons qui nous mènent au lagon.
Les canyons ressemblent à des vallées qui s'enfoncent vers le centre de l'île.
Les parois de ces canyons forment des recoins qui débouchent sur un jardin de coraux aux couleurs diverses.
La faune sous-marine est variée et dans chaque "jardin" des nouveaux hôtes.

Ci-dessus quelques Tamouré Lethrinus atkinsoni, pour le moment, en Polynésie, ils sont répertoriés dans les archipels des Australes et des Tuamotu-Gambier.
⬇︎Bec de cane à long museau Lethrinus olivaceus


Rencontre avec les priacanthes Priacanthus, ils évoluent toujours à proximité du fond, la couleur de leur robe peut varier du rouge en passant par des marbrures argentées.


⬇︎Napoléon Cheilinus undulatus, le plus grand des labres, il peut approcher les 200 kg. Celui-ci est jeune, la bosse frontale n'est pas proéminente comme celle d'un adulte.

⬇L'un des plus gros labres de Polynésie française, le Coris clown Coris aygula, celui-ci est un mâle adulte reconnaissable à sa bosse frontale.

⬇Au milieu des roses de corail, un poisson-soldat : Myripristis violacé Myripristis violacea

⬇À toute vitesse, la carangue noire Caranx lugubris.

Perche pagaie Lutjanus gibbus, perches à tache noire Lutjanus monostigma, requins gris de récif Carcharhinus amblyrhynchos explorent, à leur façon, parmi les coraux et les algues.

Ce n'est pas un jardin, non ... c'est un champ de coraux et algues !

⬇︎Deux beaux taurillons du pauvre Heniochus monoceros et un poisson-papillon : Chaetodon raton laveur Chaetodon lunula.



⬇︎Les Demoiselles paon Pomacentrus pavo "survolent" les massifs coralliens, sans trop s'en éloigner, à la moindre alerte, les cachettes ne manquent pas.

⬇︎ Pas facile à voir sur le sable blanc, mais il est là, le turbot tropical Bothus mancus.


⬇︎ Le turbot tropical se déplace parmi les Demoiselles.

⬇︎Petit banc de perches à tache noire Lutjanus monostigma.


Au loin, la raie léopard Aetobatis narinari.



⬇︎Requin gris de récif Carcharhinus amblyrhynchos.




Passage obligé des requins, il y en a de partout !




Poisson-trompette jaune Aulostomus chinensis et Tamouré (Lethrinus atkinsoni.

Ce jour là, pour cette plongée, nous étions que deux + notre guide, ce qui nous a permis quelques excentricités !
Une belle piste, blanche comme neige, pas d'encombrement de circulation ... alors, on retire les palmes et on fait une petite course ! le rêve ...



Allez ! fini la course, on remet les palmes.




Sur le chemin du retour, un gros mérou Epinephelus.

Quelques priacanthes Priacanthus, toujours aussi paisibles.

De magnifiques coraux ...


Nous nous rapprochons de plus en plus de la surface, les couleurs changent.

Un magnifique poisson-perroquet.


Nous voici de retour, - 2 puis - 1 m

Les requins pointe noire Carcharhinus melanopterus sont dans leur territoire et viennent à notre rencontre.


Un habitué des lieux, le beau napoléon Cheilinus undulatus, va et vient sous peu d'eau, parfois la dorsale est à l'air. Il loge sous les pilotis du restaurant de la pension Tetamanu.
Il est curieux et s'approche facilement vers les plongeurs, d'ailleurs il prend la pose, imperturbable, alors je m'approche au plus près pour les détails et voilà le résultat ci-dessous.



Mon séjour plongée à Fakarava Sud se termine. 8 jours de bonheur, aussi bien sous l'eau que sur terre. C'est un endroit magique, sauvage, calme, loin du tumulte touristique, bref tout est positif !
Fakarava passe sud, mur de requins
Fakarava Nord, tout aussi merveilleux, 8 jours d'enchantement avec des fonds marins de toute beauté et une grande diversité de la faune sous-marine.
Plongée sous-marine passe Garuae Fakarava nord
Plongée sous-marine Fakarava nord


