
⬇︎ Depuis l'embarcadère : 5 minutes de bateau pour une immersion dans le grand bleu !

On ne peut pas être plus près de l'océan.
⬇︎ Petit aperçu du site : océan, passe, lagon, village.

À chaque extrémité de l'atoll, le lagon est ouvert sur l'océan par deux passes (passe nord 1600 m de large et passe sud 200 m de large), à chaque marée, deux fois par jour, le lagon se vide et se remplit tour à tour. Lorsque le lagon se remplit (courant rentrant) et après 1h30 de marée, la visibilité est bonne. Les horaires de plongées se fixent suivant les marées.
La passe sud de Tumakohua permet de plonger en courant rentrant ou sortant. La plongée la plus classique est une dérivante par courant rentrant.
La plongée dérivante débute côté océan dans le grand bleu, puis on rejoint l'entrée de la passe, vers - 30m et nous permet de découvrir tout l'écosystème de la passe, nasons, priacanthes, napoléons, loches marbrées qui évoluent sur un fond de rose de corail, mais aussi le fameux mur de requins !
Partez en exploration en me suivant à travers mes photos (mettre le curseur sur la photo pour identification)
⬇︎Les priacanthes Priacanthus hamur

⬇︎Napoléon Chellinus undulatus, le plus grand des labres

⬇︎Multitude de coraux et poissons coralliens

La passe sud de Tumakohua, avec l'une des plus grandes concentrations de requins gris au monde, en a fait un endroit irréel et unique au monde.
Plus d'une centaine de requins gris de récif Carcharhinus amblyrhynchos se croisent et se recroisent.



⬇︎Requins gris de récif, on aperçoit un requin bordé Carcharhinus limbatus.

⬇︎En premier plan : poisson-chirurgien à nageoires jaunes Acanthurus xanthopterus

Ballet incessant de requins !

À -28m se trouve une grotte creusée dans le flanc droit de la passe nous permet d'observer les requins.

Il suffit de lever la tête pour les observer ...


Mais aussi, il y en a droit devant nous ! bref, ils sont à droite, à gauche, en haut, en bas, un défilé digne d'un grand spectacle.



⬇︎Le courant est bien présent, un petit point d'appui provisoire est nécessaire, juste le temps d'une pose devant les "stars" de l'océan.

⬇︎ Ah ! celui là, je ne l'ai pas vu arriver, il ne faut pas réfléchir, on clique, on verra après si la photo est convenable.


Le requin gris de récif Carcharhinus amblyrhynchos est un requin curieux mais distant envers les plongeurs. Requin territorial inféodé aux passes et zones de la pente océanique exposées au courant. Présent également dans les lagons aux eaux claires.

Les requins sont les hôtes incontournables des récifs polynésiens. Ils ne semblent pas avoir ici le caractère agressif qu'on leur attribue dans d'autres endroits du monde.


⬇︎Les priacanthes Priacanthus hamrur, aux abords de la passe.
Une majorité d'espèces arbore une livrée partiellement rouge; cependant la robe peut se marbrer d'argent et parfois de blanc argenté uniforme.


⬇︎Surprise, encore une fois, par le requin gris de récif carcharhinus amblyrhynchos, en second plan : le requin du récif à pointes blanches Carcharhinus albimarginatus, on l'identifie facilement car toutes ses nageoires ont l'apex et la bordure postérieure marqués de blanc.

⬇︎Mais oui, ils sont beaux et défilent comme des mannequins !


⬇︎Requin bordé Carcharhinus limbatus, corps gris aux reflets bronze et le ventre blanc, puissant et fusiforme, au long museau pointu. Facilement reconnaissable parmi les autres requins.


⬇︎Requins gris de récif Carcharhinus amblyrhynchos et requin bordé Carcharhinus limbatus.


⬇︎Une dernière petite avant le retour au centre de plongée.

⬇︎Banc de priacanthes Priacanthus hamrur, la couleur de la robe est différente : gris argenté. Le banc évolue toujours à proximité du fond. C'est un poisson peu craintif.


⬇︎Requin à aileron blanc de lagon Triaenodon obesus, on le nomme aussi requin corail. C'est un chasseur très actif la nuit. Le jour, il est plus lymphatique, souvent posé sur le fond face à un flux régulier.



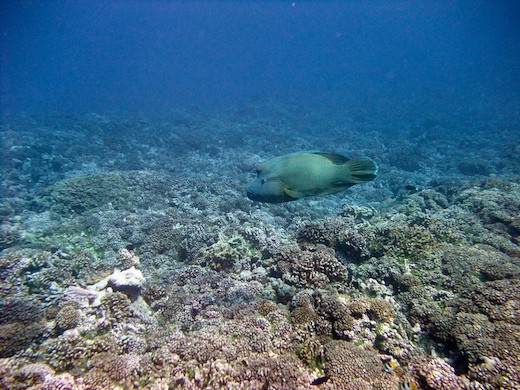
⬇︎Napoléon Cheilinus undulatus, le plus grand des labres, il peut approcher les 200 kg. Il n'est pas farouche du tout, il s'approche et suit volontiers les plongeurs.


⬇︎Raie manta de passage, c'est la seule que j'ai vue pendant mon séjour à Fakarava sud.
Bien plus présente à Fakarava passe nord Garuae Raie manta



⬇︎Une très grosse loche + un mérou céleste.

⬇︎Loche, sa taille est immense !

⬇︎Poisson-ange empereur Emperor Angelfish, le plus grand des poissons-anges de Polynésie française.


⬇︎Requin à aileron blanc de lagon Triaenodon obesus en balade.

⬇︎Tétrodon moucheté Arothron meleagris, vit, solitaire dans les zones riches de la pente océanique.

⬇︎Poisson-chirurgien Acanthurus.

⬇︎Petit banc de priacanthes Priacanthus hamrur,


⬇︎ Faune corallienne.


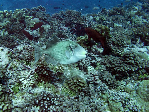
⬇︎Baliste géant Pseudobalistes flavimarginatus.


⬇︎Poisson-trompette Aulostomus chinensis.

⬇︎Poisson-soldat Myripristis.

⬇︎Petit banc de Chromis Chromis atripectoralis.

⬇︎Napoléon Cheilinus undulatus.

⬇︎Perches à raies bleues Lutjanus kasmira +poisson-trompette jaune.

⬇︎Nous remontons en nous laissant dériver, là, nous retrouvons les requins pointe noire Carcharhinus melanopterus et toute la petite faune corallienne du lagon.

⬇︎Divers poissons coralliens.

⬇︎La plongée se termine en "rampant" devant le centre de plongée et le restaurant sur pilotis de la pension Tetamanu village.

Prochain reportage plongée : tombant les Roses Fakarava sud.


