Après le site de Maiuru (reportage précédent) voici quelques photos prises sur le site de Ohutu situé à droite en sortant de la passe Garuae.

Magnifique plateau récifal précédant le tombant en pente douce jusqu'à 30m.

Une multitude d'espèce de coraux en parfait état s'offre à nos yeux.


Ce récif à proximité de la passe est également une véritable "nursery " à poissons.

⬆︎Mérou céleste
On rencontre régulièrement le long du tombant, Napoléons, carangues, requins gris, requins pointe blanche du lagon, thons, barracudas, lutjan, nasons, raies mantas etc.

⬆︎Napoléon Cheilinus undulatus, le plus grand des labres, il peut approcher les 200kg

⬆︎Lutjan rouge Lutjanus bohar, poisson assez massif, impressionnant par ses canines fortes et bien apparentes. Il est curieux et n'hésite pas à suivre les plongeurs.
À la fin du reportage, cliquez sur le lien pour la galerie photos, vous y verrez le Lutjan de très près avec ses canines, il est arrivé droit vers moi ...

⬆︎Le grand Barracuda Sphyraena barracuda, oui c'est bien celui là, le plus grand des barracudas. Il peut atteindre 190 cm pour un poids voisinant 45 kg.

⬆︎Requin gris de récif Carcharhinus amblyrhynchos

⬆︎Banc de requins à pointes blanches de récif Carcharhinus albimarginatus, bien trop loin pour les approcher, dommage !

⬆︎Requins à pointes blanches de récif Carcharhinus albimarginatus

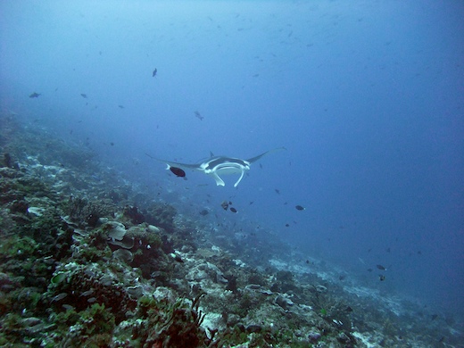
⬆︎La raie Manta, comment ne pas oublier ces instants magiques quand elle arrive droit devant moi, comme si elle me connaissait. Mais oui, son petit œil fixe et curieux cherche mon regard ... elle est tout simplement venue pour faire connaissance et fera plusieurs aller et retour,le temps de la photographier à volonté !

⬆︎Raie Manta

⬆︎Raie Manta

⬆︎Raie Manta

⬆︎En premier plan, un petit ban de Fusilier, puis un banc serré de perches pagaies.


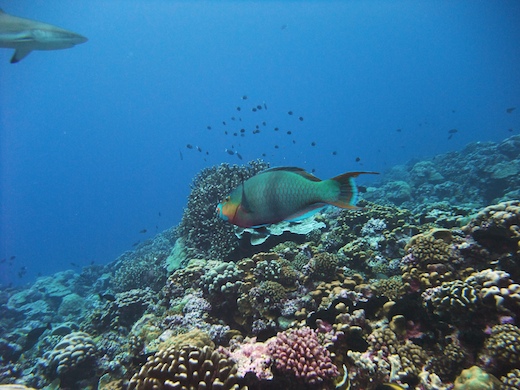
⬆︎Beau et gros poisson-perroquet

⬆︎Parmi les coraux, on croise au moment où on ne l'attend pas, le requin gris de récif. Il passe son chemin, rien de plus ... rien à craindre.

⬆︎Carangue bleue Caranx melampygus

⬆︎Toute une multitude de poissons : poissons-papillons Chaetodons et Taurillon

⬆︎Nason zébré

⬆︎Poisson-écureuil

⬆︎Poissons-soldats Myripritis + Poisson-chirurgien

⬆︎Poisson-papillon Chaetodon

⬆︎Cherchez bien ... le poisson-scorpion feuille Taenianotus triacanthus

⬆︎Millepora sp. le corail de feu (Hydrocoralliaires). Il est nommé ainsi car il est urticant.

⬆︎Petits poissons bleus Anthias

⬆︎Le plus souvent perché à l'affût au sommet d'un massif corallien: le poisson-faucon à tempe annelé

⬆︎Labre insidieux Epibulus insidiator

⬆︎Poisson-chirurgien à nageoires jaunes, le plus grand des poissons-chirurgiens.


⬆︎Poissons-lapins argenté Siganus argenteus

⬆︎Taurillons à trois bandes

⬆︎Demoiselles à queue jaune Dascyllus flavicaudus
Toujours près des massifs de Pocillopora au cœur desquels elles se réfugient à la moindre alerte et la nuit.

⬆︎Poisson-clown Amphiprion chrysopterus, vit en association avec les anémones.

⬆︎Canthigaster à selles noires Canthigaster valentini

⬆︎Poisson-lézard gracile Saurida gracilis

⬆︎Poisson-soldat Myripristis

⬆︎Poisson-perroquet + Chaetodon à points-tirets

⬆︎Bénitier

Poisson-scorpion, pas craintif du tout, il ne vous fera aucun mal sauf ... si par mégarde, vous le touchez ! il est non seulement capable d'harmoniser sa couleur avec celle du substrat mais aussi d'arborer une texture imitant à la perfection les algues et les coraux parmi lesquels il se fond, comme sur ces photos où sa teinte est idem aux coraux. C'est un prédateur nocturne qui chasse à l'affût.


Poisson-pierre Synanceia verrucosa.
En observant bien, les yeux et l'ouverture de la gueule sont situés sur un même plan. Corps verruqueux, nageoires pectorales hypertrophiées, armées d'épines robustes etc. Bref, à la moindre alerte, ce n'est qu'une suite de dards venimeux qui sortent ... Le poisson-pierre est redoutable car il se fond parfaitement dans son environnement.


⬆︎Turbot tropical Bothus mancus

⬆︎Ptéroïs à antennes Pterois antennata, dissimulé, le jour, dans les anfractuosités, il s'aventure à découvert la nuit venue pour se nourrir. Inquiété, il déploie largement ses nageoires en signe de défense et d'avertissement. Ses piquûres sont très douloureuses.

⬆︎Loche marbrée Epinephelus polyphekadion

⬆︎Murène javanaise + poisson-soldat

⬆︎Corail Psammocra

⬆︎Taurillons du pauvre Heniochus monoceros , reconnaissables par la bosse proéminente sur le haut de la tête et petite corne au-dessus de chaque œil.

⬆︎Loche, mérou

⬆︎Poisson-flûte Fistularia commersonii

Nason noir Naso hexacanthus : corps ovale au profil symétrique, la couleur de leur robe est changeante, allant du gris-brun au très sombre selon l'humeur et l'activité (très clair pendant le déparasitage). Le Nason noir évolue le plus souvent par deux.

⬆︎Bécunes de Heller se rassemblent en banc pendant la journée et se dispersnt la nuit en quête de nourriture.

⬆︎Carangues rayées Carangoides ferdau; elles se déplacent en banc toujours à proximité du fond.

⬆︎Poisson-lime gribouillé Aluterus scriptus.Leur appellation commune de "poisson-lime" tient à la texture abrasive de leur peau.

⬆︎Soldats armés Sargocentron spiniferum, le plus grand des poissons-écureuils au corps rouge orangé haut et massif.

⬆︎Coraux mous Sinularia sp

⬆︎Nudibranche Phyllidiella cf. annulata

⬆︎Nudibranche Chromodoris cf.

Coraux + Éponge Cornée Chondrosia (couleur verte).
Éponge Cornée Chondrosia, squelette, formé uniquement de spongine. Les éponges sont des animaux sans tête ni bouche qui filtrent l'eau grâce à des pores pour y trouver leur nourriture : des particules, des bactéries, des algues et des animaux microscopiques vivant dans l'eau. Ils vivent fixés au substrat (benthiques) et sont présents dans toutes les mers du globe à toutes les profondeurs.


Je n'ai pas de photos concernant la plongée passe Garuae, cette plongée se fait en dérivante. Elle débute sur le tombant extérieur avec la rencontre des requins gris, thons, barracudas etc. et se termine dans les canyons où s'abritent de nombreux poissons. Selon les courants, cette plongée peut être assez technique. Donc, sur les conseils de Matias (qui connait bien mes capacités), je n'ai pas pris mon appareil photo. J'ai pu observer et suivre le courant sans contrainte.
Cette passe est inoubliable, toute cette faune en mouvement nous procure un grand frisson enivrant.
Regardez cette vidéo récente (24 juin 2015) sur la plongée Passe Garuae de Fakarava
À très bientôt pour de nouvelles plongées à Fakarava sud passeTumakohua réputée pour son mur de requins.
À très bientôt pour de nouvelles plongées à Fakarava sud passeTumakohua réputée pour son mur de requins.


