Toutes mes plongées se feront avec Ariane et Matias. Le centre de plongée Dive Spirit, situé au PK 4, proche de toutes les pensions et hôtel de la passe Nord, est complètement neuf. Tout est prévu pour le plongeur, cliquez sur le lien et vous serez conquis.



Ariane et Matias sont des passionnés de la plongée et de vie sous-marine. Ils sont là pour transmettre cette passion. Ils savent aussi prendre leur temps pendant l'exploration réservée pour les intéressés (comme moi) de la faune et flore sous-marine. Oui, l'observation et la photographie (cela demande du temps) font parties de ma motivation concernant la plongée sous-marine et non la vitesse.
Notre intention est de te proposer un concept un peu différent à ce qui se fait couramment. Nous te proposerons différents thèmes, selon les niveaux et expériences.
Avec nous tu pourras, par exemple, apprendre à reconnaître les différents requins. Nous nous intéressons aussi aux formes de vie plus petites mais si colorées et diverses qu’elles font le bonheur des bons observateurs et des photographes spécialisés en macro. La reproduction, la diversité et la protection des coraux font partie des plongées à thèmes que nous pouvons te proposer.
source : Dive Spirit
Je ferai plusieurs plongées pendant mon séjour à Fakarava nord passe Garuae : site Maiuru, site Ohutu, passe Garuae en plongée dérivante.
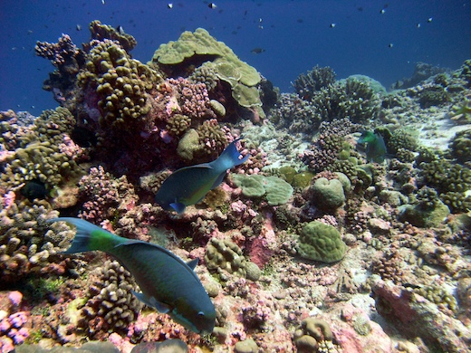
Voici quelques photos prises pendant cette exploration sur le plateau et le long du tombant sur le site de Maiuru qui se fait sur l'extérieur de la passe, au courant sortant. C'est une zone très riche en faune et en coraux, un véritable Éden sous-marin.
Mettre le curseur sur la photo pour identification.




Abritée contre les coraux, l'étoile de mer Linckia sp. se nourrit de détritus et d'organismes encroûtants, mais également de jeunes coraux.


Juste le temps de prendre la photo, la course ... thon à vive allure suivi par une carangue.


Tout tout petit ! le Labre-rasoir masqué (juvénile).


Poisson-ange royal aux belles couleurs : jaune orangé avec d'épaisses bandes verticales bleutées et bordées de noir. Se nourrit de zooplancton, d'éponges et d'invertébrés.


La Loche marbrée Epinephelus polyphekadion, très commune et abondante dans l'archipel des Tuamotu, se nourrit de poissons et crustacés.
Beaucoup de coraux, vraiment magnifiques ....






Millepora, corail de feu, ne pas toucher, il porte bien son nom car il brûle !

Taurillon à trois bandes, espèce plutôt solitaire mais parfois en groupe restreint, se nourrit de polypes de coraux et petits invertébrés benthiques.

Le poisson-ange peau-de-citron a une robe uniformément jaune vif avec un liseré bleu autour de l'œil et sur le bord de l'opercule. Il est assez craintif et setrouve toujours à proximité d'un abri. Il se nourrit d'algues filamenteuses.
Au-dessus de ce petit poisson jaune : deux Chromis moitié-moitié, dont la séparation des zones brun sombre et blanche se situe à mi-corps. Il se nourrit de plancton.


Un petit nudibranche Phyllidia carlsonhoffi, se nourrit d'éponges.




Nous remontons sur le bateau, quel chance ! les Dauphins, vraiment tout est réuni pour cette première partie de plongée.

Prochainement, une nouvelle exploration sur le site Ohutu passe Garuae.
Rencontre avec la raie manta et bien d'autres poissons ...


